Editor's Picks
Plant Focus
Rajesh Thadani,1,2 Roderick Cameron,3 and Allen J. Coombes4
1 Centre for Ecology Development and Research (CEDAR), A-17 Mayfair Gardens, New Delhi 110016, India
2 Corresponding author (rajesh@cedarhimalaya.org)
3 International Oak Society
4 Herbarium and Botanic Garden, Benemerita Autonomous University of Puebla, 72000 Puebla, PUE, Mexico
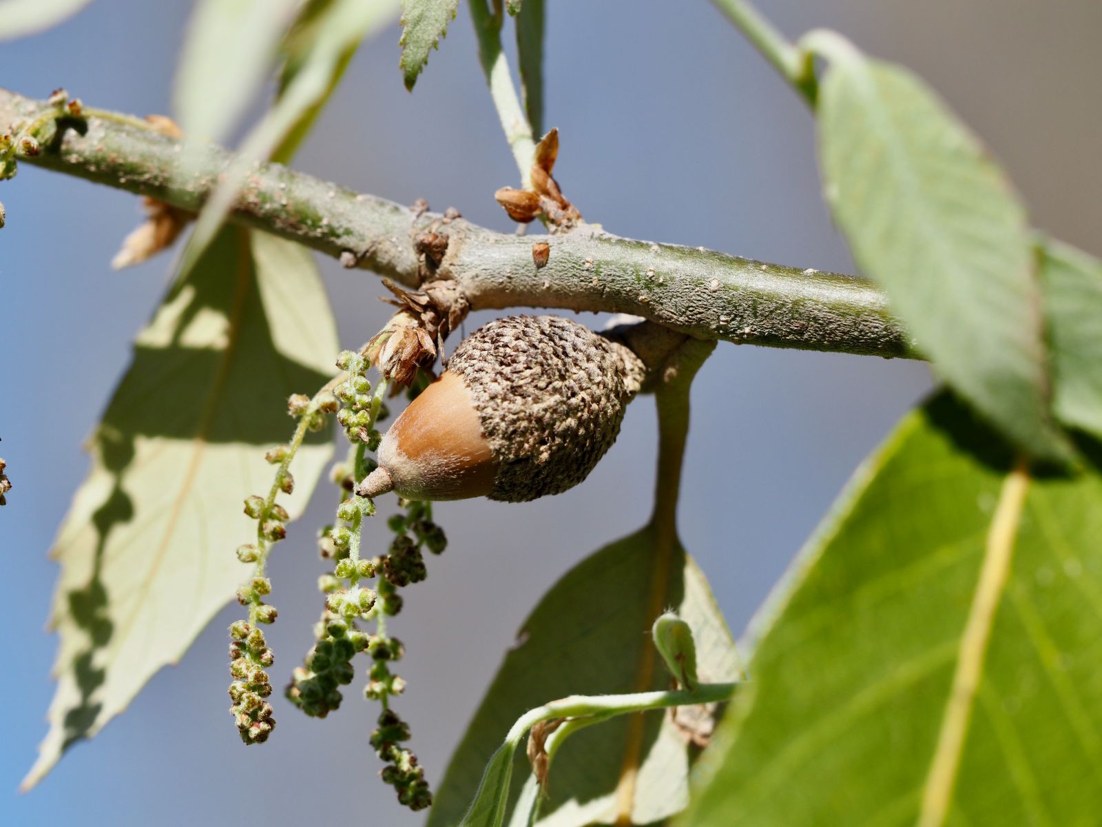
An important objective of scientific names is to provide a unique nomenclature to identify species. Sometimes, though, scientific names create confusion. The common Himalayan oak, Quercus leucotrichophora, is a case in point. Locally known as "banj" or "ban", this oak is found between 1,300 and 2,100 m elevation in the central Himalaya and is a major source of fuel wood, leaf fodder, and compost fertilizer for rural people especially in the Indian state of Uttarakhand.
The distinctive greyish-white stellate hair on the underside of its leaves was why Roxburgh (1832) gave this species the specific epithet incana, from the Latin word incanus meaning “quite grey, hoary”. This species was soon widely referred to as Q. incana (e.g., Royle 1839), and there the matter rested for a century.
The French botanist Aimée Camus was the first to detect that Q. incana Roxb. was an illegitimate name, as the epithet incana had already been used by Bartram in 1791 for the American bluejack oak, a completely different species. Camus (1935–1936) proposed the name Q. leucotrichophora as a substitute.a It seems the name did not find acceptance among taxonomists or forest researchers and remained confined to being referred to as a synonym in some taxonomic works (e.g., Hara 1966, Stewart 1972). Bahadur (1975) made a thorough analysis of the taxonomic status of this species and pointed out that the use of incana as a specific epithet was incorrect. He carefully examined all the synonyms of this species, including Q. oblongata D. Don and Q. dealbata Wall., and proposed Q. leucotrichophora A. Camus as the correct name. However, he claimed that Camus’s publication was invalid because it lacked a description or diagnosis, due to the fact that she referenced Roxburgh’s 1814 publication (a nom. nudum, hence invalid) and not his 1832 publication, which included a description. Bahadur proposed to validate Q. leucotrichophora by linking it to Roxburgh’s 1832 publication as Q. leucotrichophora A. Camus ex Bahadur. However, Article 38.13 of the ICN (Turland et al. 2018) allows for reference to a previously published description to be indirect (prior to 1953), so in fact Camus’s 1935 publication is valid and Bahadur’s validation unnecessary.
Despite Q. incana Roxb. being unequivocally proved an incorrect name, many researchers were slow to drop its use and some continue to use this name even today. Unfortunately, the Flora of Pakistan (2023) lists Q. incana W. Bartram (the American bluejack oak), with distribution in the Himalayas, and then lists Q. leucotrichophora the common Himalayan oak, as “Not in project”. This is clearly an error that needs correction. (Quercus floribunda also continues to be referred to by its older name Q. dilatata Lindl. in this database; Q. floribunda is the correct name, as Q. dilatata Lindl. was published without a description and validated by Alphonse De Candolle in 1864, but this is predated by Q. dilatata Raf. (1838), hence illegitimate.)
A more serious issue is the use of the name Quercus oblongata D. Don, which over the past few years has been commonly used to describe banj oak. Quercus oblongata was first published in Prodromus Floræ Nepalensisb (A Preliminary Flora of Nepal) in 1825 by David Don.
There is no clarity on how the use of Q. oblongata originated for the species we know as banj. Literature before 2015 rarely mentions Q. oblongata, and where found it is often shown as distinct from Q. leucotrichophora and may possibly be referring to Q. lanata. The use of Q. oblongata became more common after 2017, but authors do not offer any explanations for this change in name and often completely ignore the commonly used name, viz., Q. leucotrichophora. The Botanical Survey of India lists Q. oblongata D. Don as the correct name (BSI 2023) and consequently, many authors, even from premier Himalayan institutes, have used this name (e.g. Barman et al. 2023).
An explanation for the use of this name is provided by Binh (2018) who lists Q. oblongata as a doubtful species for Vietnam and one not collected in her study of the oaks of Vietnam. Binh (2018, 137) opines that Q. oblongata D. Don is the valid name for the species as Camus’s Q. leucotrichophora was based on the illegitimate name Q. incana Roxb., a later homonym of Q. incana Bartram. This argument does not hold as it is not uncommon to replace the name of a species when the name is found to be a homonym. Moreover, if Q. oblongata was the correct name, then Roxburgh’s nomenclature (1832) would not have found acceptance, as David Don’s (1825) nomenclature is older.
An account of why this name should not be used for banj oak has already been provided on the International Oak Society website by Coombes and Cameron (2021a) and in their article in Trees and Shrubs Online (2021b), in addition to the reasons given in Thadani (2023).
Don’s (1825) description of the species is scanty and limited to a dozen words solely based on its vegetative form. The translation of Don’s Latin description reads: “Q. oblongata, with oblong, spiny-toothed leaves, at the base cordate, above glabrous, below yellowish-tomentose.”
Banj leaves do not have a cordate basec and moreover, a yellowish-tomentose (“flavescente-tomentosis”) underside would indicate possibly that Don was in fact referring to Q. lanata rather than banj oak. This hypothesis finds support in the description of Q. lanata found in Loudon (1838), who writes: “Professor Don, in his Prodromus Floræ Nepalensis, had described Q. lanuginosa and Q. oblongata as two species; but he has since informed us that the specimen which he had of Q. oblongata being very imperfect, he is now disposed to refer it to Q. lanata”.
Loudon was writing several years after Roxburgh (1832) described Q. incana (i.e., Q. leucotrichophora), so Don had the opportunity of choosing this or Q. lanata when reconsidering the identity of his Q. oblongata (Cameron and Coombes 2021b). Furthermore, J. Forbes Royle in his Illustrations of the Botany… of the Himalayan Mountains (Royle 1839) refers to Q. incana on more than one occasion. In the same book, Q. lanata is also referenced, indicating that Royle was likely aware of these two as separate species. This also indicates that the name Q. incana was well recognized by the time of Loudon (1838), who makes no attempt to equate Q. lanata with Q. incana.
Camus (1938–1939, 21–22) had already pointed out the problem with Q. oblongata:
“Il est impossible de savoir à quoi correspond le Q. oblongata Don. La description très sommaire de Don comport des caractères étrangers à Q. incana : foliis… basi cordatis… subtùs falvescente tomentosis. La feuille n’est pas cordée á la base dans le Q. incana et le tomentum n’est pas jaunâtre, comme dans le Q. lanata de l’Inde, par exemple. Les fruits n’étant pas décrits, il faut, comme l’ont fait les auteurs anglais jusqu’ à ce jour, considérer le Q. oblongata Don comme espèce douteuse. Don lui-même a regardé son Q. oblongata comme espèce à ne pas conserver, créée sur un spécimen imparfait, et en a ensuite fait un synonyme de Q. lanata."
(It is impossible to know what Q. oblongata Don is. The very brief description of Don includes characters foreign to Q. incana: foliis… basi cordatis… subtùs falvescente tomentosis. The leaf is not cordate at the base in Q. incana and the tomentum is not yellowish, as in Q. lanata from India, for example. The fruits not being described, it is necessary, as the English authors have up to this day, to consider Q. oblongata Don as a doubtful species. Don himself regarded his Q. oblongata as a species not to be kept, created on an imperfect specimen, and he later made it a synonym of Q. lanata.)
Bahadur (1975) made a detailed study of the various synonyms available for Q. incana. He examined Q. lanata Sm. and Q. oblongata D. Don and after a thorough study and review of the old literature he rejected these names in favor of Q. leucotrichophora A. Camus. His attempts to locate the original specimens of Don at several European herbaria were without success. Given that the type specimen for Q. oblongata appears untraceable, the description is scanty and uses sterile material, and that earlier taxonomists have not adopted this name, he recommends that Q. oblongata not be adopted as “it is misleading and likely to create confusion later on.” It may be added that Bahadur (1975) was aware that Don’s (1825) nomenclature predates Roxburgh’s (1832) publication.
To summarize, David Don’s (1825) description of Q. oblongata was known as being older than Roxburgh’s (1832) description, but was never recognized as the valid name for banj oak. The description of Don is scanty and limited to a few words summarizing only leaf traits. It is based on a sterile specimen, which appears to be lost and hence cannot be verified. Don’s description itself appears not to be of Q. leucotrichophora but more likely of the closely resembling Q. lanata (syn. Q. lanuginosa D. Don). Don himself recognized that his specimen was very imperfect and acknowledged that the specimen was of Q. lanata. Camus (1938) was aware of and stated these shortcomings of Don’s description and follows earlier English authors to consider Q. oblongata Don as a doubtful species. The issue was subsequently re-examined by Bahadur (1975), who also accepts Camus’s Q. leucotrichophora as the valid name and discards Don’s nomenclature of Q. oblongata.
No evidence is available in recent literature that gives reasons to re-examine the validity of Q. leucotrichophora. Given also that this specific epithet has been commonly used in numerous publications and is the name that banj oak is best known by, besides being a name that well describes a distinguishing feature of this species (the white hair on the leaf), it is recommended that Q. oblongata be avoided in favor of Q. leucotrichophora. Modern plant databases such as POWO (2023) also now accept Q. leucotrichophora as the valid nomenclature.
The use of three different scientific names for the same species is creating confusion and leads to bad science. Numerous papers using each of the three epithets, viz., leucotrichophora, incana, and oblongata, have been published in recent years. Quercus leucotrichophora, the name given by Camus in 1935 and popularized by Bahadur (1975), is the correct name for the species and should be the only name used.
a There has been confusion regarding the original publication of the name Q. leucotrichophora. Some references cite a note published by Camus in Riviera scientifique 22 in the fourth trimester of 1935, under the title "Sur quelques chênes" (Camus 1935), in which she lists Q. leucotrichophora, citing plate 91 in Vol. 2 of the Atlas (Camus 1935-1936), part of the Monographie du genre Quercus. However, as this citation implies, the original publication would have been in Vol. 2 of the Atlas, which Camus indicates appeared before the note in Riviera scientifique. The name is published on page 13, where we find the explanation of plate 91 and a reference to Q. incana Roxb. (1814); this constitutes an indirect reference to a previously published description, i.e., Q. incana Roxb. (1832), as permitted under Article 38.13 of the ICN.
b Don’s short description of the species in Latin reads: “Q. oblongata, foliis oblongis mucronatis spinuloso-dentatis basi cordatis supra glabris subtus flavescente-tomentosis. Hab. in Sirinagur. Kamroop.”
cAs Bahadur (1975) pointed out, Roxburgh in his original description of Q. incana Roxb. (1832) mentioned that the leaves have a cordate base. Camus (1938–1939), however, in her full description of Q. leucotrichophora specifies that the leaves are "un peu arrdondies ou attenuées, non cordées a la base” (slightly rounded or attenuated, not cordate at the base). Though Roxburgh’s description is apparently inaccurate regarding the leaf base, “the rest of the description, which unlike Don’s is based on fertile material, is so perfect that it leaves no doubt as to the identity of the species” (Bahadur 1975).
Acknowledgments
The authors would like to thank Béatrice Chassé, Joeri Strijk, and Rafaël Govaerts for assistance researching the original publication of Q. leucotrichophora.
Works cited
Bahadur, K.N. 1975. A name change for Quercus incana Roxb. is inevitable. Indian Forester 101(1):99–102.
Barman, T., S.S. Samant, L.M. Tewari, N. Kanwar, A. Singh, S. Paul, and S. Lata. 2023. Ecological assessment and suitability ranges of Ban oak (Quercus oblongata D. Don) in Chamba district, Himalayas: implications for present and future conservation. Brazilian Journal of Botany. 1-21. https://link.springer.com/article/10.1007/s40415-023-00885-w
Binh, H.T. 2018. A taxonomic study of Quercus (Fagaceae) in Vietnam based on molecular phylogeny and morphological observations (Doctoral dissertation), Kyushu University. doi.org/10.15017/1931741. https://catalog.lib.kyushu-u.ac.jp/opac_download_md/1931741/sls0203.pdf
BSI. 2023. Botanical Survey of India, e-flora. Quercus oblongata D. Don. https://efloraindia.bsi.gov.in/eFlora/speciesDesc_PCL.action?species_id=41051. Accessed June 8, 2023.
Camus, A. 1935. Sur quelques chênes. Riviera Scientifique 22: 66.
Camus A. 1935–1936. Monographie du genre Quercus. Atlas. Tome II. Sous-genre Euquercus (Section Lepidobalanus). Paris: Paul Lechevalier Editeur. Encyclopédie économique de sylviculture VII.
Camus, A. 1938–1939. Monographie du Genre Quercus. Tome II. Genre Quercus. Sous-genre Euquercus (Sections Lepidobalanus et Macrobalanus). Texte. Paris: Paul Lechevalier Editeur. Encyclopédie économique de sylviculture VII.
Coombes, A., and R. Cameron. 2021a. The Status of Quercus oblongata. International Oak Society. www.internationaloaksociety.org/content/status-quercus-oblongata
Coombes, A., and R. Cameron. 2021b. ‘Quercus leucotrichophora’ from the website Trees and Shrubs Online. https://www.treesandshrubsonline.org/articles/quercus/quercus-leucotrichophora. Accessed June 7, 2023
Don, D. 1825. Prodromus Floræe Nepalensis. London. https://www.biodiversitylibrary.org/item/1820#page/67/mode/1up
Flora of Pakistan. 2023. Querucs incana. http://legacy.tropicos.org/Name/13100084?projectid=32
Hara, H. 1966. The Flora of Eastern Himalaya: Results of the Botanical Expedition to Eastern Himalaya Organized by the University of Tokyo 1960 and 1963. University of Tokyo Press.
Hill A.W., and E.J. Salisbury. 1947. Index Kewensis Plantarum Phanerogamarum Supplementum Decimum: Nomina et Synonyma Omnium Generum et Specierum ab initio Anni. Oxford University Press, London.
IPNI (2023). International Plant Names Index. Published on the Internet http://www.ipni.org. The Royal Botanic Gardens, Kew, Harvard University Herbaria & Libraries and Australian National Herbarium. Accessed June 15, 2023.
Loudon, J.C. 1838. Arboretum et Fruticetum Britannicum; or, The Trees and Shrubs of Britain. Volume III. London: Loudon and Longman, Orme, Brown, Green and Longmans.
POWO. 2023. Plants of the World Online. Royal Botanic Gardens, Kew. https://powo.science.kew.org/taxon/urn:lsid:ipni.org:names:359783-1. Accessed June 8, 2023.
Roxburgh, W. 1832. Flora Indica; or Descriptions of Indian Plants. Volume III. Serampore: Thacker and Co. Calcutta and Parbury, Allen and Co., London. https://www.biodiversitylibrary.org/item/10530#page/648/mode/1up
Royle, J.F. 1839. Illustrations of the botany and other branches of the natural history of the Himalayan Mountains :and of the flora of Cashmere. London, Wm. H. Allen. https://doi.org/10.5962/bhl.title.449
Stewart, R.R. 1972. An Annotated Catalogue of the Vascular Plants of West Pakistan and Kashmir. In: E. Nasir and S. I. Ali, Eds., Flora of West Pakistan: 566–571. Karachi: Fakhri.
Thadani, R. 2023. What’s in a name? The curious case of Banj oak (Quercus leucotrichophora). Tropical Ecology: 1-5. https://link.springer.com/article/10.1007/s42965-023-00305-w
Turland, N.J., J.H. Wiersema, F.R. Barrie, W. Greuter, D.L. Hawksworth, P.S. Herendeen, S. Knapp, W.-H. Kusber, D.-Z. Li, K. Marhold, T.W. May, J. McNeill, A.M. Monro, J. Prado, M.J. Price, & G.F. Smith (eds.). 2018. International Code of Nomenclature for algae, fungi, and plants (Shenzhen Code) adopted by the Nineteenth International Botanical Congress Shenzhen, China, July 2017. Regnum Vegetabile 159. Glashütten: Koeltz Botanical Books. https://doi.org/10.12705/Code.2018












