Editor's Picks
Plant Focus
If, like me, you are a fan of the author William Dalrymple, you may have read his ‘Return of a King’, which chronicles the disastrous ‘First Afghan War’ in the mid-nineteenth century, in which the British attempted to place a puppet ruler in Afghanistan. (He does not fail to draw, of course, certain parallels to the more recent debacle.) Political and military incompetence (those were still the days when military command owed more to nepotism than to ability) forced a midwinter retreat in early 1842 eastwards from Kabul through the mountain passes towards the garrisoned city of Jalalabad. Casualties inflicted by the Afghans and perhaps more so by the bitter winter had passed 12,000 (soldiers and camp-followers) when the remaining 200 troops ‘found their way blocked by a formidable barrier of “prickly holly oak, well twisted together, about 6 feet high”, which had just been erected across the narrowest part of the pass’.
well twisted together” which faced the British troops
Of the 80 who made it past the fence, most died in a ‘last stand’ shortly afterwards, assistant surgeon Dr William Brydon alone making it to Jalalabad on a dying horse, his arrival the subject of a well-known painting by Lady Elizabeth Butler, ‘The Remnants of the Army’. (Brydon, incidentally, was lucky to die peacefully at the age of 62 at his home in Scotland, as, fifteen years after his escape from Kabul, he was again unlucky enough to find himself in the infamous Siege of Lucknow during the ‘Indian Mutiny’.)
Thus one of the first times that Quercus baloot impinged upon the Western consciousness was rather less than auspicious (the species was only described six years later). Q. baloot is a drought-tolerant oak found in the drier valleys not only in Afghanistan, but also in the north of what is now Pakistan and into Kashmir; however, the oddity regarding this oak is that, despite subsequent British military incursions into Afghanistan and the annexation of the Punjab (the Pakistani part of the range), not to forget also the much later inclusion of Afghanistan into the hippy trail, by and large it evaded introduction to Europe (one plant seems to have survived in central Germany from a limited introduction by Karl Fuchs in 1986) until, more by luck than by judgement, I was able to do so in reasonable number in 1995. By chance it was again introduced by Jean Braud from Afghanistan itself two years later. Although in the nineteenth century the relatively short seed life of oaks might have accounted for the failure to establish it in the west, this would have been less of a problem in the twentieth, so an alternative theory, as this oak does not seem to be a particularly good ‘doer’ in Europe, is that it has been attempted before but subsequently lost.
The string of events which led to my own collections was this: in the mid-nineties my work from time to time gave me a few days to spare in Islamabad, the administrative capital of Pakistan. On one such visit I was with a colleague who was an inveterate explorer, and he had already found that for a few UK £ one could buy a ticket on a veteran Pakistani Airways Fokker Friendship to Saidu Sharif, the airport town of the Swat Valley. This valley has had an unfortunate subsequent history as the site not only of a running battle between the Taliban and the Pakistani Army, but also of the horrific shooting of the little would-be schoolgirl Malala. However, in the nineties one could not wish to meet friendlier people, the sole and sad exception being the young boys from the madrasas (now of course of Kalashnikov-bearing age), some of whom showed a marked hostility.
My colleague demonstrated that for a very few more pounds one could hire a taxi and driver who would remain with us for the rest of the visit (including an overnight stop). Our destination on that first visit was further up the Swat valley at the putative resort town of Kalam, which was scattered liberally with concrete-block hotels, most of them unfinished. We hired a guide from our chosen hotel for an evening walk, and perhaps my lack of surprise at the fact that he carried a Kalashnikov during our promenade was that I had been previously on day trips via Peshawar to the mouth of the Khyber Pass, where said weapon, not to mention a camel, was a must-have male accessory. (Around Peshawar and other areas of western Pakistan were zones known as the ‘tribal areas’ where the normal custodians of law and order did not venture, and the age-old processes of feud and local power-broking governed in their stead.) We ambled along pasture grazed to within a millimetre of the soil by goats, and, amongst dispersed trees of Aesculus indica and walnut, we saw tight cushions of glossy dark green viciously spiny leaves I thought to be of holly (Ilex sp.), which were resisting the goats as best they could. Only later did I observe that one of these cushions had become wide enough to deny goats access to its centre, where consequently there sprouted a tree with, to my great surprise, a small crop of acorns. The few acorns I managed to acquire on that first visit turned out, in fact, to be another ‘Holly Oak’, Quercus floribunda, which does very well here in southwest France, but that is jumping ahead and aside of our story. I have to confess that what piqued my interest more on that first autumn visit (I was only an ‘oak adolescent’ at the time) was to see an alder in flower. As far as I was concerned, alders flowered in spring, so I was thus prompted on my return to the UK to contact the late Kenneth Ashburner, acknowledged alder and birch expert, who told me that I had seen Alnus nitida and implored me to return to the valley to collect seed the following year, and, whilst I was at it, to look in addition for birches. Thus began what became a series of visits to the valley, both alone and with colleagues.
On one such visit in 1995 I was again with the colleague who had prompted my initial visit, and we essayed a birch-hunt up the Ushu valley, the eastern fork of the valley above Kalam, where the autumnal upper valley had its streamlet already edged with ice, and seeds spun down as the sun slowly warmed the cones of the occasional pines; the birches proved to be beyond our reach with the time available and in an ordinary taxi. But we had not wasted our time – at an elevation of around 2,195 metres (7,200 feet) we had stopped at what transpired to be a gregarious forest of small oaks bearing seed, and this became my first collection (numbered 002, the ‘00’, I confess, being somewhat pretentious!) of the oak which proved to be Q. baloot. The following day, we headed back downhill towards the airport, and an afternoon flight gave us the chance to lunch at the White Palace hotel in Marghazar, the former summer residence of the Wali of Swat, up a side valley, the Saidu. (The Walis, or rulers, of Swat were the descendants of the Akond of Swat immortalised by Edward Lear, ‘Who or why, or which, or what/ Is the Akond of Swat?') Around the hotel grew large Alnus nitida, and at this elevation (1,280 metres, 4,200 feet) some Q. leucotrichophora, which finds a rather limited niche as the upper valleys in this region are too cold, and at any distance from the streambed it is too dry. Just north of Marghazar, set back from the road and the river, we had seen another wood of oaks, again Q. baloot. Whilst collecting acorns (under number 009) in the woodland edge I realised that I was walking amongst graves – I was more than thankful that there were no locals around to object.
By fortunate happenstance, my arrival back in the UK with these two collections of oak seed coincided with an IOS Oak Open Day, and I was able to offer the surplus to those attending. In addition, IOS members Eike Jablonski and Allen Coombes were able to identify the oak in question. The old adage ‘You keep a plant by giving it away’ proved its truth later, as follows. The 1,000-metre difference between the elevations of the two collections proved to be enough to have influenced the germination characteristics of the two genotypes, and the high level collection germinated without exception much earlier than that of the lower, so much so that when disaster struck (probably in the form of a squirrel, but no culprit was ever seen) the acorn remnants on the early specimens had already dried up and were of no interest. However, the latecomers were still full of food value, and those seedlings were all destroyed. Nurseryman James Harris had been one of the beneficiaries of the Open Day, and on hearing of my plight provided me with a healthy seedling of 009 which has unhurriedly reached a height of around 3 metres and provided the only acorns that have been produced here, appropriately to coincide with IOS Conference years in 2012 and 2015 (a group of five of the higher-elevation collection, the largest of which is also around 3 metres tall, still fail to produce seed). Seedlings raised from this tree by Jeroen Braakman in Holland have appeared at least in some instances to come true, which is fortunate because I don’t think any of us will be collecting in the Swat Valley anytime soon.
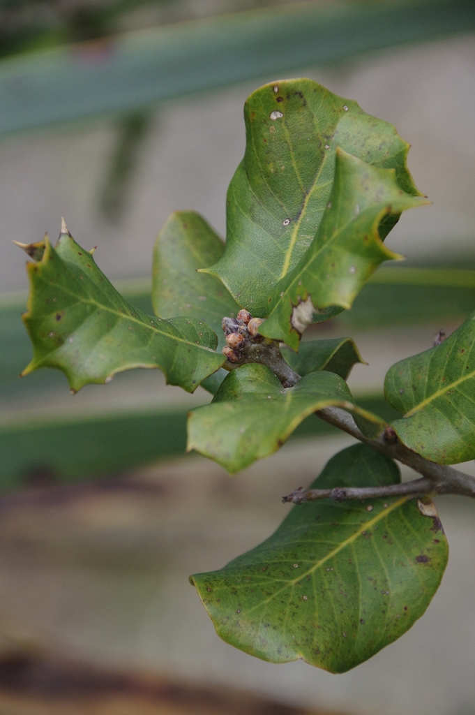
Of the trees themselves, the five specimens here from high level are without exception more viciously spiny than the singleton, the leaves undulating in such a way that the spines present themselves both above and below the plane of the leaf in most effective fashion. I can vouch that to weed below the trees is a purgatorial experience, although I do allow that crossing a barrier of them would be infinitely worse. The leaves of the five also tend to be slightly larger, but both types have the pale underside expected of the species.
Where are they now?
Sometimes the behaviour of oaks outside their home environment can be inexplicable. Here in southwest France they have summer heat, and the low-altitude plant here additionally has the benefit of drip irrigation, but the latter seems to have made only a marginal difference, if any. Slow overall growth here can instead perhaps be blamed in part on intermittent attacks of anthracnose, to which several non-native oak species have proved susceptible (most notably Q. laceyi and Q. oglethorpensis).
A plant from the 002 collection grown under HADD 2 at the Sir Harold Hillier Gardens near Romsey seemed to be beating a path to fame in 2008, when it was measured at 2.9 metres (John Grimshaw, New Trees), but sadly it had to be removed for reasons unknown in 2010. Another from the same accession had reached 2.3 metres high by 1.3 m wide by the summer of 2015, but grows with a list (Wolfgang Bopp, pers. comm.). A plant was also raised at the other UK oak National Collection, Chevithorne Barton, and after a very slow start was moved to a warmer and dryer environment with subsequent improvement. Of three plants raised by Eike Jablonski, one he gave away, and the other two were planted in the arboreta at Ettelbruck, Luxembourg, and nearby Kruchten across the border in Germany. The first, a beautiful finely-branched dwarf-growing form, died after four years for no apparent reason. The second (the plant mentioned in New Trees) reached 1.6 metres before succumbing to the bitter cold of early 2012 (-26°C minimum there with around -20° for a fortnight.) (Eike Jablonski, pers. comm.) However, it would seem that by far and away the best of the extant offspring is one which found its way to Argentina and the collection of the late Duncan Cameron at Grigadale, now looked after by his son, IOS Board member Roderick, who, nota bene, has organised an Oak Open Day event on April 22nd and 23rd which will visit this collection and that of Peter Laharrague at Estancia San Miguel. This tree has now reached a most impressive 4.5 metres, having already reached 4.2 metres in November 2014 after a spurt of a metre’s growth since the same time the previous year (Roderick Cameron, pers. comm.). It would thus seem to be getting into overdrive in what must arguably be the climate that this somewhat temperamental oak has been searching for.
Photo: © Roderick Cameron
As a postscript: if you were one of the recipients of a Q. baloot, either at the original distribution or via James Harris, I would be interested to know what happened to it, even if it died (shaun.haddock@orange.fr). Who knows, there may be a specimen out there somewhere even happier than the one in Argentina!
All photos © Shaun Haddock unless specified
























