Editor's Picks
Plant Focus
On a recent trip to Taiwan I encountered Lithocarpus and Castanopsis, the tropical and subtropical cousins of Quercus, in habitat for the first time. Several species of each of these two genera grow in Taiwan, but one in particular caught my attention, in part because it was introduced to us as another genus, Limlia, which I had never heard of. It turns out the species has had an eventful nomenclatural existence, as there is substantial disagreement as to what genus it actually belongs to, though everyone agrees on the epithet, uraiana (or its masculine version uraianus).
The plant was first named by Hayata in 1911 as Quercus uraiana. The epithet refers to the district where it was found, 烏來, currently known as Wulai, but also transliterated as Urai; it is south of Taipei in northern Taiwan. In the same publication he described Q. randaiensis, found on Mount Randai in Nantou County, central Taiwan, and he mentioned that Q. uraiana was similar to Q. randaiensis but could be distinguished from it by the long-petioled, acuminate, dentate leaves and the much deeper cupules. The following year, Schottky placed both these plants in Pasania (P. uraiana and P. randaiensis), a genus which is now considered to be a synonym of Lithocarpus, though many in Taiwan still use it. For those who use the name, Pasania has acorns with cupules that don’t entirely cover the nut, whereas in Lithocarpus the cupule envelops the nut completely. The genus name was first introduced by Miquel in 1857 as Quercus subg. Pasania in a treatment of South Asian species of Fagaceae, and Örsted later raised Pasania to subgenus rank in 1866. The name is based on pasang, a name in Sundanese (the language of the Sunda Islands of Malaysia) applied to Quercus junghuhnii and Lithocarpus sundaicus (among others?). Then in 1916 Gen'ichi Koidzumi placed the species in yet another genus, Synaedrys, originally coined by Lindley in 1836, now a section of Lithocarpus. (Lindley's genus is now a synonym of Lithocarpus, but some species assigned to it are now included in Castanopsis; Synaedrys is now applied to a section of Lithocarpus. The name may derive from Ancient Greek for "similar to oak": σύν (sún) = "beside, with" + δρῦς (drûs) = "oak", with the diphthong æ as a connecting vowel.)
(click on the image to view on the TAIF website)
By 1917, Hayata had changed his mind, and in his General Index to the Flora of Formosa he placed both species in Lithocarpus.
In 1928, Tomitaro Makino published the new genus name Shiia, which included two species currently known as Castanopsis cuspidata and C. sieboldii. The name was derived from the Japanese names for these species, shii, which is the root of the name for shiitake mushrooms, traditionally grown on the logs of these trees. Then in 1936 Ryozo Kanehira in his Formosan Trees moved Hayata’s L. uraianus to Makino’s new genus, as Shiia uraiana (Hayata) Kaneh. & Hatus.
In 1939 Kanehira and Hatusima revised their earlier view and moved the species to Castanopsis, as Castanopsis uraiana (Hayata) Kaneh. & Hatus., published in Transactions of the Natural History Society of Formosa 29.
There seems to have been disagreement at this stage on whether the species belonged in the genus Lithocarpus (Pasania, Synaedrys) or Castanopsis (Shiia). In 1947 Masamune and Tomiya of the Laboratory of Systematic Botany of the National Taiwan University proposed to resolve this by publishing “Limlia, a New Genus of Fagaceae from Formosa”. The new genus was monotypic, with Limlia uraiana (Hayata) Masamune & Tomiya its only species. The genus was said to come “between Synaedrys and Castanopsis”, differing from Synaedrys in having male flowers on the lower part of a new branchlet and female flowers on the upper part. Male flowers arch downwards and female flowers are erect. Limlia was said to be also very close to Castanopsis but could be distinguished by the long filaments of the anthers (distinctly longer than the perianth), the cup-shaped cupule with somewhat imbricated scales, and the distinct, transverse fissures on the bark.
The name Limlia is derived from the name of the tree in Chinese, limli (淋漓), which means “dripping”, as in dripping ink marks or profuse perspiration. It refers to the fact that when the trunk of the tree is cut it copiously oozes sap (Prof. Kuoh-Cheng Yang, pers. comm.).
Though Limlia was reduced to synonymy (e.g., World Checklist and Bibliography of Fagales), it continued to be used in Taiwan: in the book by Jih-Ching Liao, The Taxonomic Revision of the Family Fagaceae in Taiwan (first published by the Department of Forestry of the National Taiwan University in 1991, with a second edition in 1994), the plant species is listed as Limlia uraiana. In 2003, however, Dr. Liao listed it as Castanopsis uraiana in his Illustrations of the Family Fagaceae in Taiwan, published by the Taiwan Forestry Research Institute (Taipei). Similarly the 2nd edition of the Flora of Taiwan (1996) listed Limlia uraiana, but the current version available online lists the plant as Castanopsis uraiana.
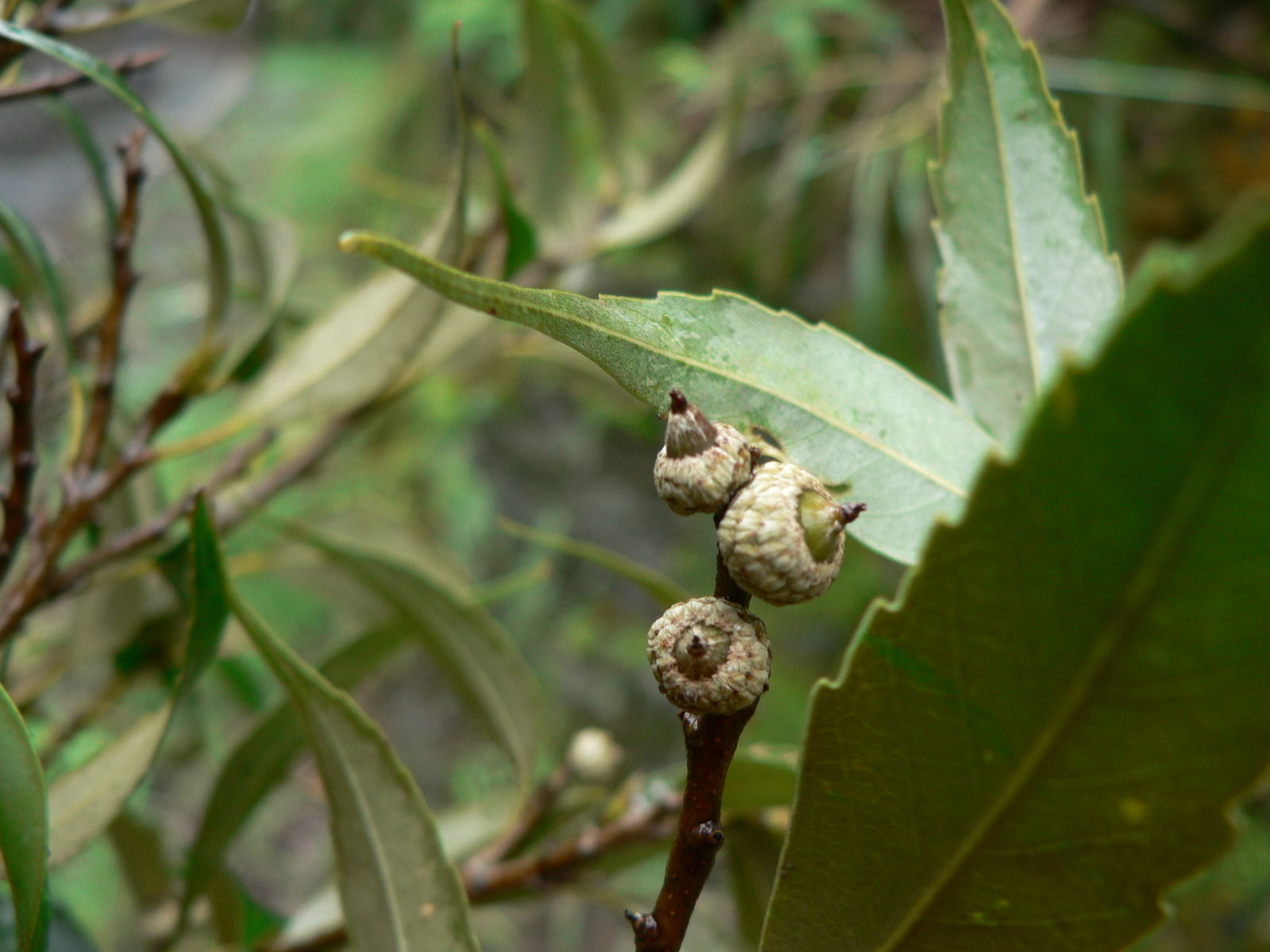
The taxonomy of this species has yet to be resolved, however. The accepted name is Castanopsis uraiana in Flora of China, Flora of Taiwan, Tropicos, and iNaturalist (and in the image captions here), but it is Lithocarpus uraianus in Kew’s Plants of the World Online, GBIF, and asianfagaceae.com. Distinguishing Lithocarpus and Castanopsis is not always straightforward, and a combination of characters is necessary to determine the genus (Joeri Strijk, pers. comm.). According to Chuck Cannon (pers. comm.), the species looks more like a Castanopsis than a Lithocarpus: the leaf petiole is swollen at the base and thin to the leaf margin, while Lithocarpus petioles are always thick from base to top; the cupule, which has some valvateness1 to its shape and is not smoothly circular, looks more like the single-fruited Castanopsis, such as C. fissa; and also the flexible male spikes are reminiscent of Castanopsis. A distinguishing feature of Castanopsis is that the inner bark does not have the ridges and grooves that are found in Lithocarpus and Quercus, However, I have not found any mention of the inner bark of this species.
Given the current tug-of-war between these two genera to claim the species in question, the Solomonic solution proposed by Masamune and Tomiya does not seem unreasonable. In Taiwan I even heard suggestions that the species may have arisen as an intergeneric hybrid between Lithocarpus and Castanopsis. It appears the species has not been included in any phylogenetic work, which would presumably help to solve the problem (Allen Coombes, pers. comm.).
And what of Q. randaiensis, described by Hayata at the same time as Q. uraiana? After being moved in tandem with uraiana through the various genera (Pasania, Synaedrys, and Lithocarpus), at some stage it dropped into synonymy and was not included in Shiia by Kanehira and Hatusima or in Limlia by Masamune and Tomiya. I have not been able to determine who first proposed to synonymize Q. randaiensis, but it goes against Hayata's original description. Although he stated the two species were similar, he added that they could be "easily distinguished" by the longer petioles, serrate leaf margins, and deeper cupules on Q. uraiana.
1 The valvate nature of Castanopsis cupules is due to their ancestral dehiscence: the fused cups in Castanopsis often retain angles and 'valve'-like margins in their cup, while Lithocarpus cupules truly have a smooth circular margin.












