Editor's Picks
Plant Focus
Quercus ×vilmoriniana is an intercontinental hybrid, the result of a cross between the Asian Q. dentata (large leaves, fringed acorns) and the European Q. petraea (long petioles, sessile acorns). It was the first such hybrid to be recorded, grown at the Arboretum national des Barres from an acorn collected from a Q. dentata in 1894. It subsequently entered the nursery trade, and trees with this name are found in collections across the world, both as clones of the original and as descendants, some of which retain many of its original characteristics.
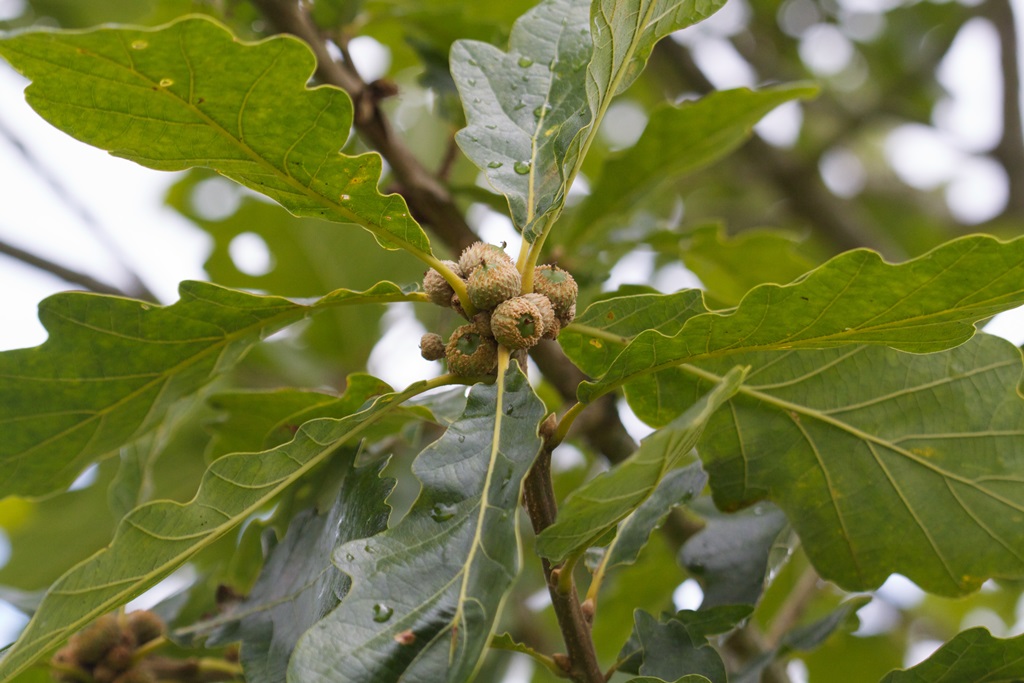
Le Hardÿ de Beaulieu and Lamant (2010) describe it as a deciduous tree with a rounded canopy and large scaffold branches. The bark is deeply fissured, and the twigs are robust, though less so than in Q. dentata, tomentose when young, then glabrescent as they mature. The ovoid buds are smaller than in Q. dentata, quite tomentose, with long, persistent stipules. Leaves are obovate, slightly leathery, and 12–25 cm long × 4.5–10 cm wide.
The leaf base is tapered and either auriculate or narrowly and slightly asymmetrically rounded. The apex is obtuse, and the margin is lobed with large sinuses, those at mid-leaf being the largest. The petiole is tomentose and 1–1.3 cm long. The cupules are cup shaped or obconic, to 1.5 cm deep, with prominent scales, shorter than in Q. dentata. The edge of the cupule is dentate, and the color of the interior is reddish ochre. Acorns are ovoid and 2 cm long × 1 cm wide, borne on a short peduncle.
The hybrid was named in honor of Maurice Lévêque de Vilmorin, a French botanist and member of a renowned family of seed producers. His grandfather, Philippe André de Vilmorin, purchased the Domaine des Barres as a testing ground for his studies in forestry, and the property was subsequently sold to the state and became a forestry school and the Arboretum national des Barres. Maurice was actively involved in the Arboretum, where he established a collection of shrubs, the Fruticetum Vilmorianum des Barres, which was donated to the state after his death. His father, Louis de Vilmorin published Note on the Creation of a New Race of Beetroot and Considerations on Heredity in Plants, establishing the theoretical groundwork for the modern seed-breeding industry. An interest in plant breeding and heredity had thus been bred into Maurice’s veins, so it is perhaps not surprising that he would have experimented with seed collected from a Q. dentata at the Arboretum, one of many exotic species introduced to Europe by the Vilmorins. The tree stood relatively isolated, surrounded by a forest of Q. petraea, so when an acorn from the Q. dentata produced a seedling that exhibited evidence of hybridization, the pollen was assumed to come from that source. The new tree was planted in Maurice’s Fruticetum, where it stood for over a century before succumbing to a fungus infection in the winter of 2002–3.
The taxon name was first published in 1935 by Aimée Camus in Les Chênes as the hybrid Q. ×vilmoriniana. For some, it was a cultivar, and the name Q. ‘Vilmoriniana’ was also used, for example in le Hardÿ de Beaulieu and Lamant’s Guide illustré des chênes (2010). In 2006, Allen Coombes and Eike Jablonski published the cultivar name Q. ×vilmoriniana ‘Maurice de Vilmorin’ to designate clones of the original tree and distinguish them from seedlings, which may show the influence of other species, such as Q. robur. The herbarium specimen for the cultivar was taken from Trompenburg Arboretum in Rotterdam, the Netherlands. In the same year, Eike Jablonski published the cultivar name Q. ×vilmoriniana ‘Vredenoord’, a specimen raised by Dick van Hoey Smith of Trompenburg, from seed collected from the original tree in 1973. Another cultivar, Q. ×vilmoriniana ‘Limburg’, is listed on the website of the Dutch nursery Den Mulder Boomteelt, but the name has not been published.1
Several oak collections list Q. ×vilmoriniana in their catalogues, as recorded in the Cultivated Oaks of the World database. Aside from Trompenburg, Chevithorne Barton in the United Kingdom has two grafted specimens, and Jean-Louis Hélardot also has a nursery-sourced specimen at his Arboretum des Passadous. In the United States, Starhill Forest has two grafted trees grown from scions of the original tree, and Gabis Arboretum at Purdue Northwest (formerly Taltree Arboretum) has two trees sourced from Starhill (no further details available). At Cornell Botanic Gardens there is a specimen sourced from Oikos Tree Crops, grown from seed of uncertain origin.
San Miguel Arboretum in Argentina has four trees grown from seed Peter Laharrague collected in the Arboretum national des Barres in October 1999 from the original tree, just three years before it died. Despite the reported tendency of seed to produce trees that differ from the initial hybrid, the trees in San Miguel display several of the original’s characteristics.
Another tree from the same seed lot grows in nearby Grigadale Arboretum, where it has grown vigorously and is one of the most prolific fruiters in the collection.
At Grigadale there are also two young trees grown from seed off its F2 specimen (therefore F3 hybrids). They were selected from a trial of a number of acorns, which displayed a remarkable variety of leaf shape and growth rates. The selected trees were chosen for their rapid growth rate and similarity to the mother tree.
Quercus ×vilmoriniana has proven to have considerable horticultural merit and has found a place in many arboreta and collections around the world, both as a clone of Maurice de Vilmorin’s 1894 seedling and as trees descended from it through seed. It may be questionable whether the hybrid name is still appropriate for these crosses, as they most likely involve crosses with other species (or back crosses). But this should not detract from their potential, as experimentation and selection may produce unusual and attractive plants.
Acknowledgments
With thanks to Thierry Lamant, Guy Sternberg, Peter Laharrague, Jim Hitz, Ken Asmus, James, MacEwen, Sean Cameron and Jeroen Braakman for providing information and images. Readers who know of other specimens in cultivation and would like to add details or images, are welcome to do so by adding a comment below (IOS members only).
Further reading
Beaulieu, A. le Hardÿ de and T. Lamant. 2010. Guide illustré des chênes. Geer, Belgique: Edilens. Tome 1: 556–557.
Hoey Smith, J. R. P. van. 2001. Trompenburg Arboretum: Green Oasis in Rotterdam. Stichting Bevordering Van Volkskracht.
Trehane, P. (2007 onwards), The Oak Names Checklist. Published on the internet http://www.oaknames.org. [accessed April 12, 2020]
1 Update: After this article was published, Jef Van Meulder contacted me to point out that this statement is incorrect. The cultivar name was published as Quercus 'Limburg' in the 2014 Yearbook fo the Belgian Dendrology Society. It was selected at Bokrijk Arboretum in Belgium, which is in the county of Limburg, hence the name. Jef was Curator at the Arboretum at the time and wrote an article for the Yearbook describing several new oak cultivars. The original plant of Q. 'Limurg' was grown from seed collected from the Quercus ×vilmoriniana at Arboretum national des Barres in 1989; it is thought to be a backcross with Q. petraea. It was selected for its dark green leaves and overall beauty, and has been successfully propagated by grafting on Q. robur stock.












