Editor's Picks
A new documentary by Maricela Rodríguez Acosta
Website Editor
|
Feb 17, 2026
A rare oak endemic to the Ryukyu Islands of Japan
Elion Jam
|
Feb 16, 2026
Steve Potter reviews a new book that features oaks
Steve Potter
|
Feb 11, 2026
Plant Focus
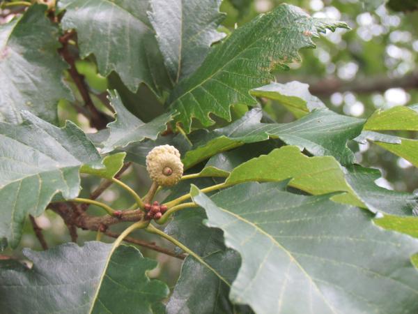
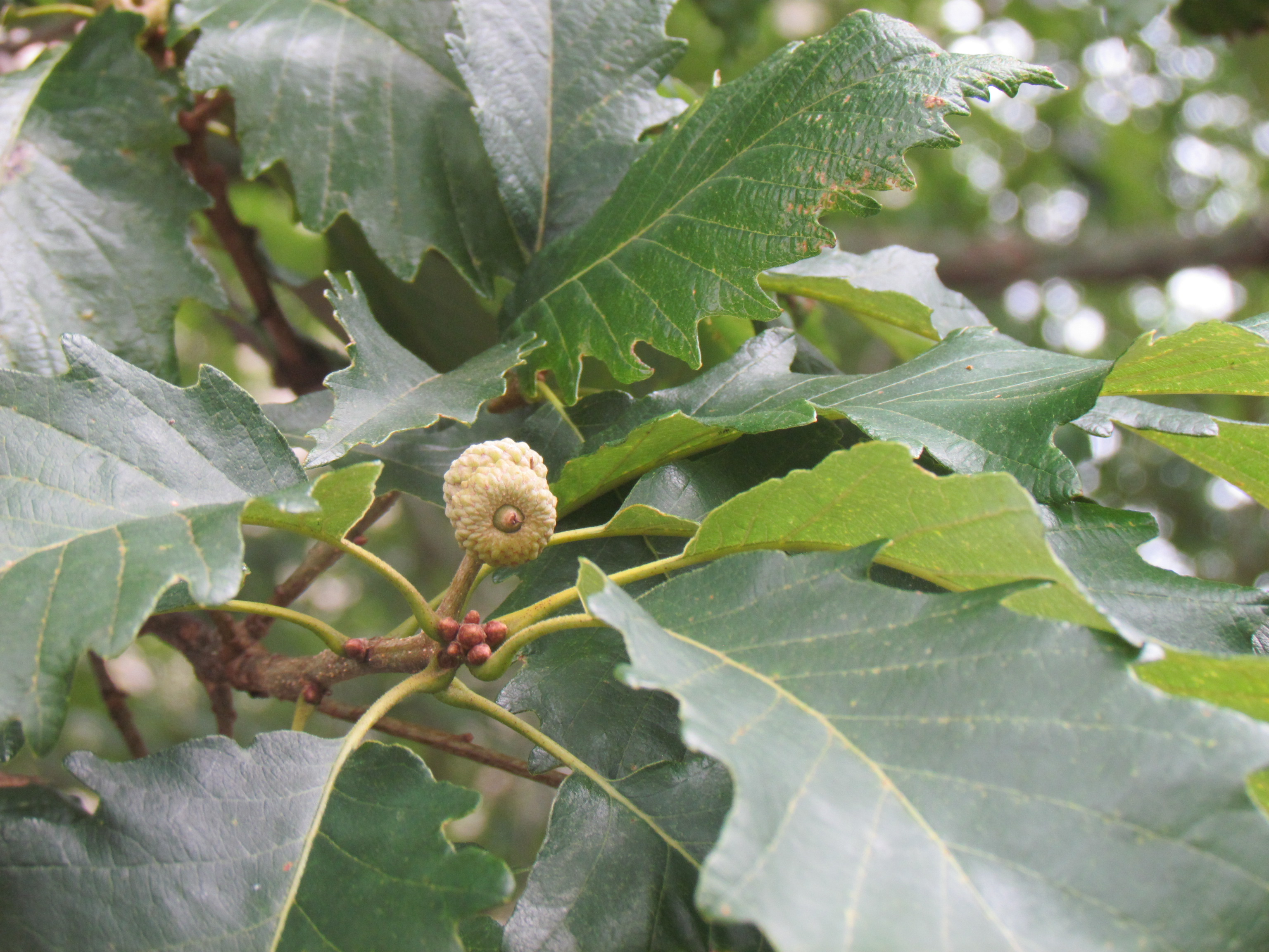
Antonio Lambe shares his views on this threatened oak native to Iberia and North Africa
2014 OOD Mississippi photo gallery. A great time was had by all, and a great deal of information was learned. The weather was even better than I hoped for and so were the trees. Dudley Phelps did a great job organizing the tours and we even got a surprise tour from the owner of Mossy Oak, Toxey Haas who happens to be a huge oak fan himself. I hope these photos will do justice to the beautiful trees, people and landscapes we saw during this OOD.












