Editor's Picks
Plant Focus
A Population of Quercus wislizeni with Golden Yellow Pubescence Observed in Palomar Mountain State Park, California
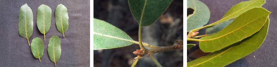
In October 2017, I visited Palomar Mountain State Park, San Diego County, California to collect acorns of the interior live oak, Quercus wislizeni (Section Lobatae), for an investigation of oak hybridization at that location. Following the first day on site, while reviewing the day’s leaf samples, acorns, and photographs, a chance photo with an oblique view suggested that one individual Q. wislizeni bore yellow or golden hairs on the abaxial leaf surface. It was something I was not looking for, and neither my poor eyes nor my straight-on photos of abaxial surfaces had detected the yellow pubescence. It was a provoking image, as standard descriptions of Q. wislizeni say that the lower leaf surfaces are glabrous (and the upper leaf surfaces and acorns too). But more observations the next day and on a return visit in November 2017 confirmed it, and more.
What has been found so far is a population of 12-15 individual plants, within a 50-m square plot in the Park, showing primary characteristics of Q. wislizeni, yet bearing golden pubescence on abaxial leaf surfaces. The site is approximately 1,400 meters above sea level on a slope facing south to southwest. The photos from my cell phone do not capture the detail at all well, unfortunately. With a 10× hand lens, one can see trichomes of varying complexity, but neither my experience nor the degree of magnification can convey a good identification of the types of trichomes present. The density of trichomes varies among the individual plants. The abaxial surfaces mostly feel silky to the touch, but on one individual plant with the greatest density of complex golden trichomes, the texture to me is marginally rougher, more like velvet. So far, no other specimens of interior live oak with this feature have been reported in the Park, and standardized surveys for similar specimens have yet to be conducted in the area.
![]() |
| In the center of the photo, the rounded, sparse habit of the shrub with the greatest density of complex golden abaxial trichomes. Trunks of Quercus kelloggii in the upper right. November 2017. |
Sympatric with the interior live oak here are the canyon live oak, Q. chrysolepis, of Section Protobalanus (well known for its golden pubescence), two additional species of Section Lobatae, Q. agrifolia var. oxyadenia and the California black oak (Q. kelloggii), and hybrids of the Section Lobatae species. (Personally I have also observed Q. berberidifolia and Q. engelmannii of Section Quercus at lower elevations on Palomar Mountain, but not in the area of study in the Park.) This group of interior live oaks more or less encircles a sloped clearing in the woods centered on a granite outcrop, with canyon live oak and California black oak neighboring the clearing as well. Quercus agrifolia var. oxyadenia specimens are not far away. Also in this neighborhood are Abies, Calocedrus decurrens, and Pinus.
The specimen with the greatest density of golden trichomes also appears to produce acorns of two distinct morphological types – one similar to acorns of the other Q. wislizeni in the neighborhood and one with coloring, pubescence, and apex contour more akin to Q. chrysolepis acorns at this site. Both types were collected from the plant, not the ground, but obviously genetic testing and/or repeated observations in subsequent years are important to determine if introgression forms the basis for these surprising characteristics.
![]() |
||
| Quercus wislizeni with golden yellow trichomes abaxially and white trichomes on a glaucous adaxial surface |
Some of these individuals are “mere” shrubs, two to three meters or less in height. Others at least begin life with an arborescent habit, reaching up to six to ten meters. However, at this location, the central leaders of all the arborescent interior live oaks that are old enough to have checkered, fissured bark also show some dieback at the top, or have died completely. These plants have developed numerous younger shoots from the base. The leaves of most of these plants are less than 40 mm in length and sclerophyllous, with spinose margins. There is a unique set of some ten stems with larger leaves (laminas up to about 65 mm), each arising from the ground to a height of four to six meters and arrayed in a kind of double file leading in one direction from a dead stump. Could it be an unusual clonal growth pattern? The leaves of this group are only irregularly spinose and bear plentiful erect white trichomes on the adaxial surface, as well as fewer white trichomes plus more minute golden trichomes across the abaxial surface. (I counted this group as just one plant in the total of 12 to 15 above.)
At this writing (July 2018), dried leaves from several samples taken in November 2017 continue to hold abaxial trichomes that, in the sun, have a rich and glinting, golden hue.
Seeds were collected in fall 2017 from 12 plants in this group. All of the collections produced seedlings. Except for the one seedling successfully grown from the “Protobalanus-like" seeds (which has relatively standard golden abaxial trichomes, a glaucous abaxial surface, and patches of discoloration consistent with glandular-hair secretions), none of these seedlings’ first leaves are showing golden hairs. The second flush of three exemplar first-year seedlings is shown in the photographs.
Genetic analyses of this group to test for introgression have not yet been performed. Perhaps instead of originating from a Q. wislizeni base this population starts from a Q. agrifolia that lost its leaf curvature and narrower acorns. The photos (even without fine detail) tell the observable story better than words. (Personally I need a great deal more education before I could reliably and consistently distinguish aristate from mucronate teeth.) One general comment is that both the adaxial leaf surfaces and acorns of this group of Q. wislizeni tend to have some pubescence as well, which is not consistent with the description of the species type (glabrous on all counts). But one can also observe that, at this site, the acorns of Q. agrifolia var. oxyadenia and Q. chrysolepis generally sport some pubescence, too – even sometimes dense and cakey – even though the type descriptions say “glabrous.”
In addition to the interior live oaks with gold abaxial trichomes, there are two or more plants in the same plot that lack gold trichomes, at least on my examination, and another half dozen or so individuals that have not been examined.
![]() |
| Cheerful growth on the younger Quercus wislizeni shown in the pair of pictures of bark above |
Members of IOS will be interested in knowing that, in addition to this group of Q. wislizeni, the Park is the location of the large, now fallen Q. chrysolepis that was featured on the cover of Issue 22 of International Oaks (Spring 2011; photo by Guy Sternberg) and in Joseph Wasyl’s article in that issue titled “Uncle Oak: the Giant of Palomar Mountain.”
The observation of this group of Q. wislizeni with golden trichomes was made in the course of an investigation (California State Parks permits #CDD-2016-008-PMSP and #CDD-2017-018-PMSP), stimulated by another series of chance events and observations, into whether intersectional hybridization is occurring between Q. chrysolepis and any of the sympatric species of Section Lobatae. Genetic analysis of samples from the site and from a selection of seedlings is underway and results will be shared in due course.
If readers are aware of other populations of Q. wislizeni with golden trichomes, please contact the author via the IOS (website@internationaloaksociety.org), as the information could assist California State Parks in assessing the need for protection of this population.
A selection of photographs of new leaves on seedlings of Q. chrysolepis grown from acorns collected in the Park can be viewed here.
























